News

  1. Climate

    As the Arctic tundra warms, soil microbes likely will ramp up CO2 production

    Experiments in mini greenhouses show how the tiny organisms lurking underground in a "sleepy biome" could be a contributor to climate change.

    By
  2. Psychology

    Online spaces may intensify teens’ uncertainty in social interactions

    Little is known of how teens learn about emotions online and then use that knowledge to cope with social uncertainty during in-person encounters.

    By
  3. Animals

    Want to see butterflies in your backyard? Try doing less yardwork

    Growing out patches of grass can lure adult butterflies and moths with nectar and offer lawn mower–free havens for toddler caterpillars.

    By
  4. Health & Medicine

    College students want to help during an opioid overdose but don’t know how

    A survey of college students reported many are comfortable calling emergency services for an overdose, but fewer know how to intervene with naloxone.

    By
  5. Animals

    This orangutan used a medicinal plant on his face wound

    Rakus the orangutan appeared to be treating a cut to his face with a plant that’s also used in traditional human medicine.

    By
  6. Animals

    Belugas may communicate by warping a blob of forehead fat

    Jiggling the “melon” like Jell-O seems to be associated with sexual behaviors, scientists say.

    By
  7. Materials Science

    Scientists developed a sheet of gold that’s just one atom thick

    Ultrathin goldene sheets could reduce the amount of gold needed for electronics and certain chemical reactions.

    By
  8. Health & Medicine

    50 years ago, margarine’s ‘healthy’ reputation began to melt away

    In the 1970s, scientists began to suspect that margarine was bad for heart health. A key component, artificial trans fat, was a major factor.

    By
  9. Space

    Scientists are getting closer to understanding the sun’s ‘campfire’ flares

    The detection of cool plasma before the tiny outbursts on the sun is helping researchers make connections between campfire flares and other solar eruptions.

    By
  10. Climate

    A ruinous hailstorm in Spain may have been supercharged by warming seas

    Giant hail that pummeled northeast Spain in August 2022 could not have formed without climate change, computer simulations suggest.

    By
  11. Animals

    Ximena Velez-Liendo is saving Andean bears with honey

    By training beekeepers, biologist Ximena Velez-Liendo is helping rural agricultural communities of southern Bolivia coexist with Andean bears.

    By
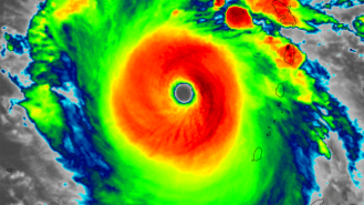
  12. Climate

    Three reasons why the ocean’s record-breaking hot streak is devastating

    Ocean warming enhances hurricane activity, bleaches coral reefs and melts Antarctic sea ice. That warming has been off the charts for the past year.

    By