Intense storms provide the first test of powerful new hurricane forecast tools
Instruments are slated to improve predictions of path and intensity

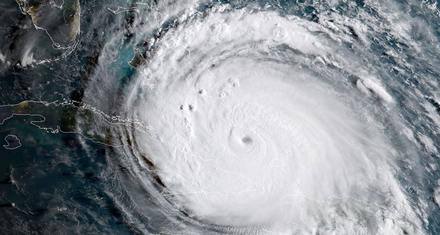
IRMA INCOMING Hurricane Irma passed by Cuba on September 8, 2017, as a Category 4 storm (seen in this geocolor image captured by NOAA’s GOES-16 satellite) before making landfall in the Florida Keys on September 10, 2017.
NOAA/CIRA
- More than 2 years ago
This year’s Atlantic hurricane season has already proven to be active and deadly. Powerful hurricanes such as Harvey, Irma and Maria are also providing a testing ground for new tools that scientists hope will save lives by improving forecasts in various ways, from narrowing a storm’s future path to capturing swift changes in the intensity of storm winds.
Some of the tools that debuted this year — such as the GOES-16 satellite — are already winning praise from scientists. Others, such as a new microsatellite system aiming to improve measurements of hurricane intensity and a highly anticipated new computer simulation that forecasts hurricane paths and intensities, are still in the calibration phase. As these tools get an unprecedented workout thanks to an unusually ferocious series of storms, scientists may know in a few months whether hurricane forecasting is about to undergo a sea change.
The National Oceanic and Atmospheric Administration’s GOES-16 satellite is perhaps the clearest success story of this hurricane season so far. Public perceptions of hurricane forecasts tend to focus on uncertainty and conflicting predictions. But in the big picture, hurricane models adeptly forecasted Irma’s ultimate path to the Florida Keys nearly a week before it arrived there, says Brian Tang, an atmospheric scientist at the University at Albany in New York.
“I found that remarkable,” he says. “Ten or so years ago that wouldn’t have been possible.”
One reason for this is GOES-16, which launched late last year and will become fully operational in November. The satellite offers images at four times the resolution of previous satellites. “It’s giving unparalleled details about the hurricanes,” Tang says, including data on wind speeds and water temperatures delivered every minute that are then fed into models.
GOES-16’s crystal-clear images also give forecasters a better picture of the winds swirling around a storm’s central eye. But more data from this crucial region is needed to improve predictions of just how strong a hurricane might get. Scientists continue to struggle to predict rapid changes in hurricane intensity, Tang says. He notes how Hurricane Harvey, for example, strengthened suddenly to become a Category 4 storm right before it made landfall in Texas, offering emergency managers little time to issue warnings. “That’s the sort of thing that keeps forecasters up at night,” he says.
In December, NASA launched a system of eight suitcase-sized microsatellites called the Cyclone Global Navigation Satellite System, or CYGNSS, into orbit. The satellites measure surface winds near the inner core of a hurricane, such as between the eyewall and the most intense bands of rain, at least a couple of times a day. Those regions have previously been invisible to satellites, measured only by hurricane-hunter airplanes darting through the storm.
“Improving forecasts of rapid intensification, like what occurred with Harvey on August 25, is exactly what CYGNSS is intended to do,” says Christopher Ruf, an atmospheric scientist at the University of Michigan in Ann Arbor and the lead scientist for CYGNSS. Results from CYGNSS measurements of both Harvey and Irma look very promising, he says. While the data are not being used to inform any forecasts this year, the measurements are now being calibrated and compared with hurricane-hunter flight data. The team will give the first detailed results from the hurricane season at the annual meeting of the American Geophysical Union in December.

Meanwhile, NOAA has also been testing a new hurricane forecast model this year. The U.S. forecasting community is still somewhat reeling from its embarrassing showing during 2012’s Hurricane Sandy, which the National Weather Service had predicted would go out to sea while a European meteorological center predicted, correctly, that it would squarely hit New York City. In the wake of that event, Congress authorized $48 million to improve U.S. weather forecasting, and in 2014 NOAA held a competition to select a new weather prediction tool to improve its forecasts.
The clear winner was an algorithm developed by Shian-Jiann Lin and colleagues at NOAA’s Geophysical Fluid Dynamics Laboratory in Princeton, N.J. In May, NOAA announced that it would test the new model this hurricane season, running it alongside the more established operational models to see how it stacks up. Known as FV3 (short for Finite-Volume Cubed-Sphere Dynamical Core), the model divides the atmosphere into a 3-D grid of boxes and simulates climate conditions within the boxes, which may be as large as 4 kilometers across or as small as 1 kilometer across. Unlike existing models, FV3 can also re-create vertical air currents that move between boxes, such as the updrafts that are a key element of hurricanes as well as tornadoes and thunderstorms.
But FV3’s performance so far this year hasn’t been a slam dunk. FV3 did a far better job at simulating the intensity of Harvey than the other two leading models, but it lagged behind the European model in determining the hurricane’s path, Lin says. As for Irma, the European model outperformed the others on both counts. Still, Lin says he is confident that FV3 is on the right track in terms of its improvement. That’s good because pressure to work out the kinks may ramp up rapidly. Although NOAA originally stated that FV3 would be operational in 2019, “I hear some hints that it could be next year,” he says.
Lin adds that a good model alone isn’t enough to get a successful forecast; the data that go into a model are ultimately crucial to its success. “In our discipline, we call that ‘garbage in, garbage out,’” he says. With GOES-16 and CYGNSS nearly online, scientists are looking forward to even better hurricane models thanks to even better data.