Earth

Sign up for our newsletter

We summarize the week's scientific breakthroughs every Thursday.

  1. Genetics

    Readers ponder geothermal power and more

    Readers respond to stories from the May 26, 2018 issue of Science News.

    By
  2. Climate

    Why won’t this debate about an ancient cold snap die?

    Critics are still unconvinced that a comet caused a mysterious cold snap 12,800 years ago.

    By
  3. Earth

    This volcano revealed its unique ‘voice’ after an eruption

    Identifying patterns in a volcano’s low-frequency sounds could help monitor its activity.

    By
  4. Earth

    Underwater fiber-optic cables could moonlight as earthquake sensors

    The seafloor cables that ferry internet traffic across oceans may soon find another use: detecting underwater earthquakes.

    By
  5. Animals

    Here’s what narwhals sound like underwater

    Scientists eavesdropped while narwhals clicked and buzzed. The work could help pinpoint how the whales may react to more human noise in the Arctic.

    By
  6. Climate

    Antarctica has lost about 3 trillion metric tons of ice since 1992

    Antarctica’s rate of ice loss has sped up since 1992 — mostly in the last five years, raising global sea level by almost 8 millimeters on average.

    By
  7. Environment

    Sunshine is making Deepwater Horizon oil stick around

    Sunlight created oxygen-rich oil by-products that are still hanging around eight years after the Deepwater Horizon spill.

    By
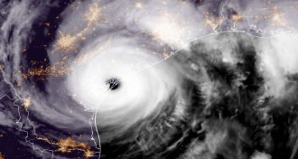
  8. Climate

    Tropical cyclones have slowed over the last 70 years

    Tropical cyclones are moving 10 percent slower, on average, than they did in the mid-20th century, potentially making them more dangerous.

    By
  9. Environment

    A big analysis of environmental data strengthens the case for plant-based diets

    A new study calculates the bonus for the planet of choosing more foods from plants.

    By
  10. Earth

    Here’s a look at the world’s deadliest volcanoes — and the ways they kill

    Scientists gathered data on nearly 280,000 global volcano deaths from 1500 to 2017 and sorted fatalities by cause of death, such as lava flows or gas.

    By
  11. Environment

    Treating roads with oil and gas wastewater may spread harmful pollution

    When spread on roads, wastewater from oil and gas production can leach radium and other contaminants into the environment, a new study finds.

    By
  12. Climate

    The first Americans could have taken a coastal route into the New World

    Alaskan glaciers retreated in time for ancient coastal entries of the first Americans.

    By