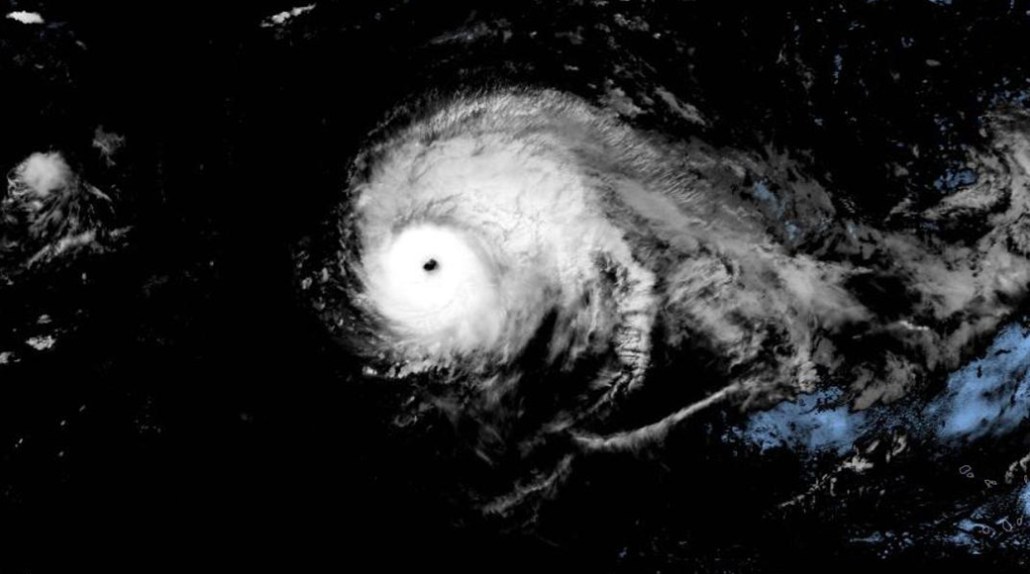
Hurricane Lorenzo hit Category 5 farther east than any other storm
Cold water and winds usually prevent tropical storms from powering up in the North Atlantic
Hurricane Lorenzo broke records when it briefly powered up to a Category 5 on September 28 when it was 2,270 kilometers southwest of the Azores Islands. That was farther east than any other Category 5 storm formed in the Atlantic since record-keeping began in 1851.
National Hurricane Center

