No-fishing scheme in Great Barrier Reef succeeds with valuable fishes
Coral trout thrive but protection has less effect on other reef residents

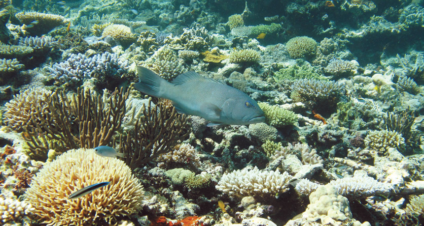
MOST WANTED A common coral trout stalking a small fish dinner is one of several prized Plectropomus species responding well to Australia’s much-debated system of no-take reserves within Great Barrier Reef Marine Park.
AIMS LTMP
By Susan Milius
- More than 2 years ago
An ambitious, hotly debated system of no-take reserves inside the Great Barrier Reef Marine Park has boosted the population of its most commercially valuable fishes, says the first 10-year progress report.
Coral trout (Plectropomus species) are now more common and bigger in protected spots than in comparable places still being fished, researchers say online March 26 in Current Biology. The no-take zones also gave these fish populations more resilience, with ample coral trout that had grown large enough to survive when severe tropical cyclone Hamish hit in 2009.
Creating the no-take zones in the Great Barrier Reef “was a politically risky move,” says study coauthor Hugh Sweatman of the Australian Institute of Marine Science in Townsville. “There has been considerable interest in how this is playing out.” The Australian government expanded the portion of the park where fishing is banned from about 5 percent to about a third in July 2004.
Conservationists have embraced the concept of such no-take zones, and the number of these marine protected areas is growing. The U.K. government recently announced plans to create a large marine protected area around the Pitcairn Islands. Yet an analysis of 87 no-take areas around the world published in Nature in 2014 found that poaching, regulatory loopholes or design flaws such as skimpy size of the protected area often undermine the effort.
To see how the Great Barrier Reef’s no-take zones measure up, Sweatman and his colleagues scrutinized underwater census data on such matters as fish length and abundance from four monitoring programs going back as far as 1983. The researchers found that no-take zones may be nurturing the coral trout, but there’s not much effect on other fishes or their neighbors in unprotected areas.
That finding makes sense for the Great Barrier Reef where commercial and recreational fishing mostly targets a few species, says marine ecologist Trevor Willis of the University of Portsmouth in England. These marine protected areas work differently from ones off coasts crowded with people catching anything they can for food. There, no-take zones can have dramatic effects on many species — because many species get fished.
On the Australian coast with fewer, less-desperate people, the few targeted fish populations respond strongly when the fishing stops. Consequences for those fishes’ prey or competitors can be too small to pick out of the noise of natural variability, explaining why researchers found little change among other species.
What the monitoring data do suggest, Sweatman and his colleagues argue, is that no-take zones don’t seem to be harming their neighbors. Critics have raised concerns that banning fishing in so much of the park might intensify damage in places still fished. Yet that doesn’t seem to be happening, the researchers say.
That’s a surprise in some respects, says Stuart Kininmonth of Stockholm University, a coauthor of the Nature paper. Recreational fishing has been growing, and high-tech gear has become more affordable, he says.
One question the new monitoring paper doesn’t address is whether coral trout spawned in protected areas spill over the boundaries to enhance legal fishing , notes Peter Sale of the University of Windsor in Canada. In 2012, researchers announced they had traced coral trout larvae from Great Barrier Reef protection to fishing areas. “Elegant,” Sale says. “This was the first-ever demonstration, with a fishery species, that no-take marine reserves worked as theory said they would.” But whether those venturesome larvae grow up to have an impact on neighborhood fishing stocks remains to be seen.
Even with a decent report card for the first 10 years of stepped-up protection in the Great Barrier Reef, no-take zones face some tough challenges. The park’s 2014 report identified climate change as the No. 1 threat to reefs, Sweatman says. “Clearly marine reserves do not protect against climate change, which is a global phenomenon and needs a global solution.”