Titan’s Lakes: Evidence of liquid on Saturn’s largest moon
New radar images indicate that Saturn’s giant moon Titan contains lakes of liquid hydrocarbons. The finding provides the first compelling evidence for bodies of liquid on the surface of any object besides Earth, say the researchers who analyzed the images.

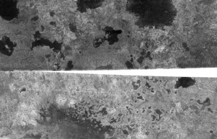
Located in Titan’s north polar region, the lakes range in width from just under a kilometer to 32 km and extend up to 90 km. Titan’s surface, at a frigid –180°C, is much too cold for liquid water. The lakes probably consist of methane, possibly mixed with ethane, says planetary scientist Stephen Wall of NASA’s Jet Propulsion Laboratory in Pasadena, Calif.
The lakes are a source of the methane gas that accounts for 5 percent of Titan’s smoggy atmosphere, say Wall and his colleagues. Over millions of years, sunlight breaks down atmospheric methane, and scientists have long sought a source that could replenish it. They’ve suspected that much of the moon might be covered with methane seas.
NASA’s Cassini spacecraft, which began touring Saturn in the summer of 2004, dispelled that notion. But radar images taken by the craft on July 22 show a landscape that resembles lake-strewn Minnesota, says Wall.
If the lakes are indeed composed of methane, the hydrocarbon would cycle between Titan’s surface and atmosphere just as water cycles on Earth.
“We have found on Titan the equivalent of a hydrological cycle, and that’s a big deal,” says Wall. The finding adds yet another reason to study Titan as a window on the frozen, prebiotic Earth.
Although Titan’s hydrocarbon haze hides the moon’s surface in visible light, radar penetrates the smog. Radar-dark regions, such as the ones just found by Cassini, can denote either a smooth, liquid surface or an accumulation of powder or sand that absorbs light. However, several signs from Cassini paint a lakelike portrait, says Wall.
Not only are the dark areas shaped like lakes, but they also have channels leading out of them. A smooth, dry powder or sand couldn’t sculpt channels, Wall says.
Furthermore, some of the lakelike areas show what appear to be multiple shorelines, as if the body of liquid has been receding. Millions of years ago, when methane was more plentiful, lakes might have covered much more of the moon, suggests Jonathan Lunine of the University of Arizona in Tucson, who collaborated with Wall.
Finally, the images hint at patterns created when wind kicks up waves on a liquid surface.
The images are “the best evidence to date for methane lakes,” comments planetary scientist Alfred McEwen of the University of Arizona.
The location of the lakes jibes with predictions that liquid methane would be sequestered near Titan’s poles because the temperatures there are slightly lower than elsewhere on the moon, says Lunine.
Cassini won’t produce radar images of areas near Titan’s south pole until 2008. But this October, the radar system will look at the north polar region from a different angle. If such observations over several years show changes with season or brightness changes that could be caused by waves, they’ll strengthen the evidence that liquid methane currently resides on Titan, says McEwen.