Insect illustrator
For 10 years, Taina Litwak’s job was to draw almost nothing but mosquitoes. As a science illustrator in Washington, D.C., for the Walter Reed Army Institute of Research, Litwak helped document disease-transmitting species that might endanger soldiers overseas.


Today, Litwak’s work offers a bit more variety: She’s an “art department of one” in D.C. for the U.S. Department of Agriculture’s Systematic Entomology Laboratory. She helps scientists describe insects that threaten crops or forests, as well as bugs that could kill these pests. This means illustrating beetles, flies, wasps, moths and other creepy-crawlies, enabling researchers to identify species more accurately.
Litwak gives insects “almost a life on the page,” says Matt Buffington, a research entomologist at the USDA. Journal articles can be dry, he says, but her illustrations remind readers that a real animal is involved.
Litwak studied biology and printmaking in college but didn’t consider a career in science illustration at the time. “I would have pooh-poohed it because it was neither fish nor fowl,” she says. She pursued art after graduating and soon got tired of day jobs such as waitressing and landscaping. In 1983, Litwak started drawing mosquitoes for Walter Reed, eventually getting two species named after her. She later worked as a freelance illustrator, with assignments ranging from a rodent-control manual to Science News illustrations to medical drawings for legal exhibits.
Scientific illustration isn’t the most glamorous artistic path to pursue. “In the pecking order of illustrators, science illustrators are on the bottom,” she says, the thinking being that “we just copy things, we’re technical, we don’t express ourselves.” But Litwak finds the work rewarding. “Part of the reason I really like what I do is that it encourages people to look at things…. People don’t just observe stuff enough.”
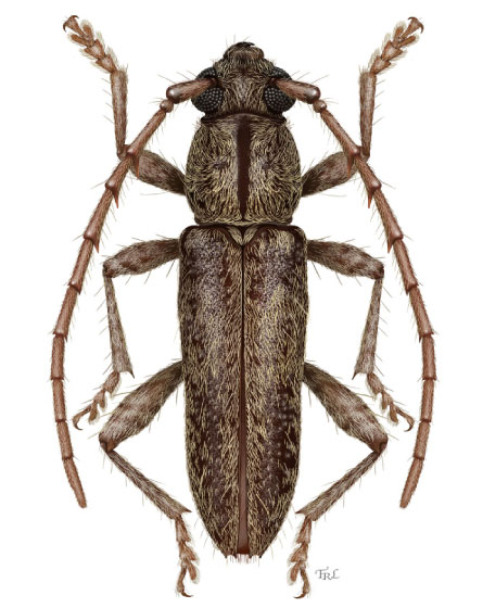
At the USDA, Litwak draws with pencil while peering at specimens through a microscope, then scans and paints the picture digitally. Her subjects have included wood-boring beetles and a wasp that kills potential pests of cucumber and melon crops. In 2010, Litwak won an award from the Illustrators Club of Washington D.C., Maryland and Virginia for a drawing of a long-horned beetle from the Caribbean (shown, right). “He’s a real cutie,” she says.