Current Issue

Vol. 191 No. 4
Download PDF Modal Example Archive Issues Modal Example
« Previous | Next »

Reviews & Previews

Science Visualized

Notebook

Features

More Stories from the March 4, 2017 issue

  1. Oceans

    Climate change may boost toxic mercury levels in sea life

    Increased runoff to the ocean due to climate change could raise neurotoxic mercury in coastal sea life by disrupting the base of the food web.

    By
  2. Astronomy

    Conditions right for stars, planets near Milky Way’s supermassive black hole

    Four clouds of gas near the galactic center have roughly the right mass to be young stars, possibly with planets.

    By
  3. Physics

    Possible sign of dark matter shows up again

    Excess of X-rays could indicate decaying sterile neutrinos.

    By
  4. Planetary Science

    Oxygen atoms from Earth bombard the moon

    Oxygen atoms originating from the upper atmosphere periodically bombard the moon’s surface, researchers propose.

    By
  5. Astronomy

    Spin may reveal black hole history

    High rate of spin could indicate that black holes formed from previous mergers of black holes.

    By
  6. Earth

    3-billion-year-old crystals hint at lost continent’s fate

    Zircon crystals from a long-gone continent called Mauritia may have resurfaced during volcanic eruptions on the island of Mauritius in the Indian Ocean.

    By
  7. Archaeology

    Iron Age secrets exhumed from riches-filled crypt

    Wealthy woman’s 2,600-year-old grave highlights Central Europe’s early Iron Age links to Mediterranean societies.

    By
  8. Chemistry

    LSD’s grip on brain protein could explain drug’s long-lasting effects

    The newly discovered structure of a human serotonin receptor linked to LSD could reveal why the drug’s hallucinogenic effects last so long.

    By
  9. Animals

    What gives frog tongues the gift of grab

    Here’s what puts the grip in a frog’s high-speed strike: quick-change saliva and a tongue softer than a marshmallow.

    By
  10. Physics

    Physicists seek neutron lifetime’s secret

    Updated experiments hope to resolve neutron lifetime discrepancy.

    By
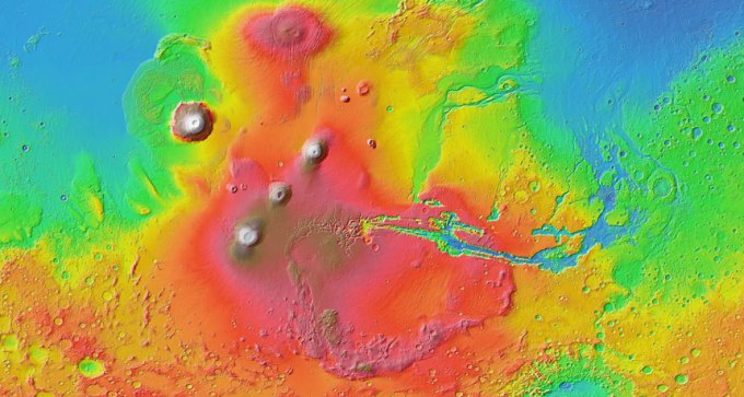
  11. Planetary Science

    Red Planet’s interior may not churn much

    The magma fueling a Martian volcanic system remained largely unchanged for billions of years, analysis of a newfound meteorite suggests.

    By
  12. Tech

    Bat robot takes wing

    Unlike other aerial robots that use whirling rotor blades to fly, the Bat Bot relies on soft, silicone-based wings to glide, swoop and turn.

    By
  13. Astronomy

    Five gamma-ray blazars set new distance record

    Intensely bright galaxies are the farthest blazars ever detected in gamma rays.

    By
  14. Cosmology

    New data fuel debate on universe’s expansion rate

    Quasar observations add to discrepancy in measurements of the universe’s expansion speed.

    By
  15. Paleontology

    Pinhead-sized sea creature was a bag with a mouth

    Dozens of tiny fossils discovered in 540-million-year-old limestone represent the earliest known deuterostomes, a diverse group of animals that includes humans and sea cucumbers.

    By
  16. Anthropology

    DNA points to millennia of stability in East Asian hunter-fisher population

    Ancient hunter-gatherers in East Asia are remarkably similar, genetically, to modern people living in the area. Unlike what happened in Western Europe, this region might not have seen waves of farmers take over.

    By
  17. Astronomy

    Faint, distant galaxies may have driven early universe makeover

    Gravitational lensing has revealed extremely faint galaxies in the early universe, suggesting these tiny galaxies were responsible for cosmic reionization.

    By
  18. Earth

    Oxygen flooded Earth’s atmosphere earlier than thought

    The Great Oxidation Event that enabled the eventual evolution of complex life began 100 million years earlier than once thought, new dating of South African rock suggests.

    By
  19. Climate

    Hot nests, not vanishing males, are bigger sea turtle threat

    Climate change overheating sea turtle nestlings may be a greater danger than temperature-induced shifts in their sex ratios.

    By
  20. Physics

    Smashing gold ions creates most swirly fluid ever

    Collisions of gold ions create a fluid with more vorticity than any other known.

    By
  21. Ecosystems

    Zika virus ‘spillback’ into primates raises risk of future human outbreaks

    Spillback of Zika virus into monkeys may complicate eradication efforts.

    By
  22. Genetics

    Number of species depends how you count them

    Genetic evidence alone may overestimate numbers of species, researchers warn.

    By
  23. Health & Medicine

    Cold plasma puts the chill on norovirus

    A new device uses cold plasma to kill foodborne pathogens.

    By
  24. Health & Medicine

    Ricin poisoning may one day be treatable with new antidote

    Mice treated with a blend of antibodies survived even when treated days after exposure to ricin.

    By
  25. Life

    Rapid Ebola test to detect early infection in the works

    Scientists are developing highly specific antibodies to detect Ebola sooner.

    By
  26. Computing

    Speech recognition has come a long way in 50 years

    Early versions of computer speech recognition relied on word sounds. Now, they add pattern recognition and a lot of statistics.

    By
  27. Animals

    How hydras know where to regrow their heads

    Regenerating pond animals called hydras inherit structural patterns from their original forms, researchers find.

    By
  28. Genetics

    CRISPR used in cows to help fight tuberculosis

    Chinese researchers used a CRISPR/Cas 9 gene editor to make cows more resistant to tuberculosis.

    By
  29. Animals

    Coconut crab pinches like a lion, eats like a dumpster diver

    Coconut crabs use their surprisingly powerful claw for more than cracking coconuts.

    By
  30. Oceans

    Cone snails wander in circles, lose focus with boosted CO2

    Deadly cone snails wander in circles and become less capable hunters when exposed to higher levels of carbon dioxide in seawater.

    By